"إيان" يقسو على فلوريدا.. ومخاوف من فيضانات "كارثية"
-
29 September 2022
-
3 yrs ago
-
-
source: tayyar.org
-
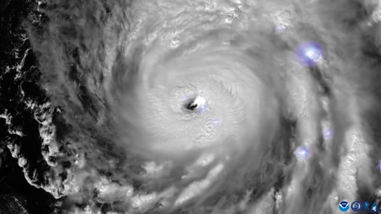
وصل الإعصار الخطير للغاية "إيان" إلى اليابسة في غرب فلوريدا، عصر الأربعاء، ترافقه رياح عاتية بلغت سرعتها 240 كلم/ساعة وأمطار غزيرة، مما تسبّب بقطع التيار الكهربائي عن مليون مسكن في الولاية الأميركية الجنوبية.
وذكر المركز الأميركي للأعاصير أنّ "إيان" دخل الأراضي الأميركية من ساحل كايو كوستا في جنوب غرب فلوريدا في تمام الساعة 15:05 (19:05 ت غ)، مشيراً إلى أنّه إعصار من الفئة الرابعة على سلّم تصاعدي من 5 درجات.
وحذّر المركز ومقرّه ميامي من أنّ إيان "إعصار خطير للغاية" وقد تسبّب منذ الآن بفيضانات "كارثية".
وتسبّب الإعصار بقطع التيار الكهربائي عن أكثر من مليون مسكن في فلوريدا، بحسب موقع "باور آوتدج" المتخصص.
وقال الموقع إنّ غالبية هذه المساكن تقع على مقربة من المسار الذي سلكه الإعصار، مشيراً إلى أنّه في بعض المقاطعات الساحلية انقطع التيار الكهربائي عن معظم المساكن.
ولاية فلوريدا
تعد منطقة فلوريدا الساحلية الأكثر تعرضا لخطر هبوط الإعصار على اليابسة في الولايات المتحدة، إذ أنها تضم شواطئ رملية ممتدة لمسافة أميال وعشرات من الفنادق داخل منتجعات.
حذر حاكم الولاية رون ديسانتيس من أن الإخلاء سيصبح أصعب لأن الرياح المتزايدة ستجبر السلطات قريبا على إغلاق جسور الطرق السريعة.
60 منطقة تعليمية في فلوريدا ألغت الدراسة بسبب الإعصار، وأنه تم فتح أكثر من 175 مركز إجلاء على مستوى الولاية.
أبلغت شركات طيران عن إلغاء أكثر من 2000 رحلة جوية بسبب العاصفة مع إغلاق مطار سانت بطرسبرغ- كليرووتر الدولي ومطار تامبا الدولي.
أعلنت شركة والت ديزني أنها ستغلق متنزهاتها المائية في فلوريدا يومي الأربعاء والخميس.
عطلت العاصفة صناعة الطاقة في ساحل الخليج، حيث تم إجلاء الموظفين من 14 منصة إنتاج، مما أدى إلى توقف نحو 11 بالمئة من إنتاج النفط في المنطقة. -
-
Just in
-
18 :55
رويترز عن مصادر أمنية: مسيّرة مفخخة استهدفت السفارة الأميركية في بغداد وسماع دوي انفجار في محيطها
-
18 :45
الميادين: سماع دوي انفجارات في محيط السفارة الأميركية في بغداد
-
18 :31
"القناة 12" الإسرائيلية: إطلاق نحو 20 صاروخًا من لبنان باتجاه كريات شمونة
-
18 :16
الجيش ينعي ثلاثة من شهدائه! تتمة

-
18 :14
ترامب: لسنا مستعدين لمغادرة إيران بعد
-
17 :57
وزير الخارجية التركي: سأقوم بجولة في الشرق الأوسط سعيا لإنهاء الحرب مع إيران ابتداء من غد الأربعاء
-
-
Other stories
Just in
-
18 :55
رويترز عن مصادر أمنية: مسيّرة مفخخة استهدفت السفارة الأميركية في بغداد وسماع دوي انفجار في محيطها
-
18 :45
الميادين: سماع دوي انفجارات في محيط السفارة الأميركية في بغداد
-
18 :31
"القناة 12" الإسرائيلية: إطلاق نحو 20 صاروخًا من لبنان باتجاه كريات شمونة
-
18 :16
الجيش ينعي ثلاثة من شهدائه! تتمة

-
18 :14
ترامب: لسنا مستعدين لمغادرة إيران بعد
-
17 :57
وزير الخارجية التركي: سأقوم بجولة في الشرق الأوسط سعيا لإنهاء الحرب مع إيران ابتداء من غد الأربعاء
All news
- Filter
-
-
الجيش ينعي ثلاثة من شهدائه!
-
17 March 2026
-
ترامب يؤكد أنه لم "يعد يحتاج إلى مساعدة" لتأمين مضيق هرمز
-
17 March 2026
-
ماكرون: فرنسا غير مستعدة للمشاركة في تأمين مضيق هرمز في الظرف الراهن
-
17 March 2026
-
EXCLUSIVEخاص - سيناريو “نموذج صربيا” يلوح في الأفق الإيراني؟
-
17 March 2026
-
EXCLUSIVEكواليس - تدخل مرجع كبير يفتح أبواب "المجلس الشيعي" للنازحين!
-
17 March 2026
-
غارة على "سنتر" تجاري جنوبًا
-
17 March 2026
-
أدرعي: "الحزب" يتحضّر لإطلاق رشقات صاروخية باتجاه إسرائيل خلال الساعات المقبلة!
-
17 March 2026
-
الجيش يعلن عن استشهاد عسكريَّين نتيجة غارة إسرائيلية
-
17 March 2026
-
حصيلة الغارة على طريق المطار..
-
17 March 2026
-
"الحزب" ينفي ارتباطه بخلايا في الكويت: نحرص على أفضل العلاقات
-
17 March 2026

